Site wide message

Castle Point Plan Consultation

We’ve set out a bold, community-led strategy for sustainable growth across the Borough. The Castle Point Plan will set out where new development will be allocated, how much affordable housing will be built and more up to 2043.

A further consultation is now open.
Please give us your views 

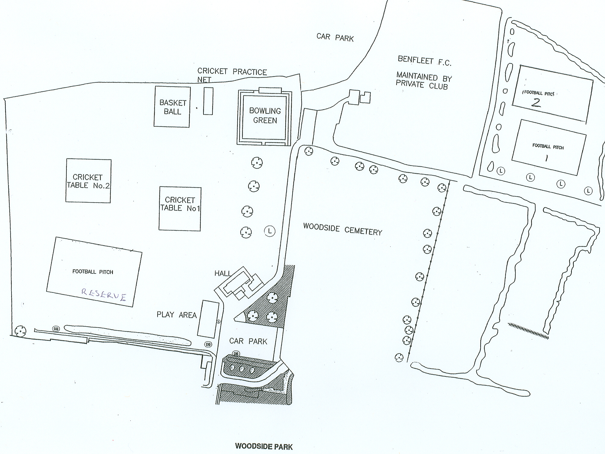
Football pitch maps

Football pitch maps

Click on the link to see the site you require. These are image files that open ion a new window.

John H Burrows

S Benfleet PF

Waterside Farm RG

Woodside Park

King George V